Edaforrasgos

Nódulos

(nódulos e intercrecimientos en el Handbook for Soil Thin Section Description de P. Bullock et al.)

Son unidades tridimensionales con tendencias esféricas no relacionados con superficies naturales y que no consisten en cristales aislados; como todos los edaforrasgos son de origen edáfico.

Su naturaleza más frecuente es de carbonatos y compuestos de Fe y/o Mn.

 

Carbonatos

Casi siempre formando agregados policristalinos, con cristales individuales de tamaño micritico (< 50 micras) o espático (> 50 micras).

En los suelos normalmente se trata de calcita. Son muy móviles en el suelo; se disuelven en los horizontes superiores y se acumulan en los inferiores.

Sólo polarizador. Grises (en ocasiones amarillentos), a veces de hábitos romboédricos, con fuerte relieve.

Polarizador y analizador: colores de interferencia muy altos, aspecto blanco-marrón-rosado

 

Yeso

Frecuentemente se presenta en agregaciones de cristales de forma lenticular. Muy móviles se disuelve y preciptan con facilidad.-

 

Compuestos de Fe

Los minerales más frecuentes en los suelos son la hematites y la goethita. La hematites es de un color rojo intenso (a veces aparece negra) y la goethita es de color amarillo. Normalmente los granos están constituídos por una masa de cristales criptocristalinos.

Aunque pueden proceder del material original, frecuentemente se trata de formas amorfas que impregnan la masa del suelo o se organizan en edaforrasgos como nódulos y revestimientos.

 

Compuestos de Mn

Se trata de óxidos y otros compuestos de composición mal definidas. Se caracterizan por ser totalmente opacos (se pueden confundir con algunos compuestos de hierro de color negro, pero observado con intensa iluminación en el caso del Fe los bordes de los granos son mas o menos transparentes mientras que los de Mn son completamente negros).

Aunque pueden proceder de la herencia del material original, normalmente se encuentran en los suelos organizados en edaforrasgos (nódulos y sobre todo revestimientos e hiporresvestimientos).

 

Calcedonia

En ocasiones aparecen nódulos de calcedonia, que es microagregado de cristales de cuarzo.

 

Y en alguna ocasión son de materia orgánica.

El problema de los nódulos (como en el caso de los cristales) es la interpretación de su origen. Estos nódulos que mostramos más arriba si pensáramos que no se han formado en el suelo pasarían a ser considerados como fragmentos gruesos. ¿Complicado?, pues no demasiado, bastaría con que miremos en las preparaciones de la roca (material original) si existen o no este tipo de nódulos (se recomienda disponer de varias láminas delgadas de la roca madre para estar seguros de su presencia o ausencia).

Se pueden subdividir en:

Puros. Constituidos exclusivamente por el material amorfo o criptocristalino, sin evidencia de origen seudomórfico.

Impregnativos. El material amorfo o criptocristalino impregna al material del suelo o a restos vegetales.

Se definen por su grado de impregnación (puro, impregnación fuerte, moderada y bajo) y por la nitidez de su borde (neto y difuso).

La descripción es la usual para los edaforrasgos y la característica más importante es la contextura interna, color y opacidad.

 

Se pueden distinguir los siguientes subtipos de acuerdo con su contextura:

Típicos. Presentan contextura indiferenciada

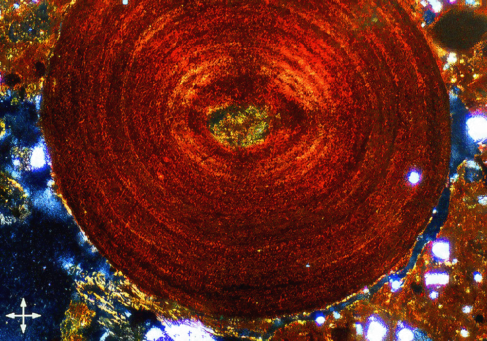
Concéntricos. Presentan contextura concéntrica, en otros sistemas de clasificación se les denomina concreciones.

 

Nucléicos. Presentan un núcleo distintivo.

Geódicos. Presentan un poro interior

Septáricos. Presentan un modelo de grietas radiales.

Pseudomórficos. Los cristales presenta unas formas que han sido impuestas por otros materiales previamente existentes. Proceden de la mineralización de restos orgánicos o heredan la forma de otros minerales.

 

 

  Indice    Edaforrasgos    Siguiente